Google News

Siêu bão Yutu sắp "kéo quân" vào Đông Nam Á, soán ngôi bão Mangkhut?

Siêu bão Yutu sắp "kéo quân" vào Đông Nam Á, soán ngôi bão Mangkhut?
HHTO - Chuyên gia khí tượng học của AccuWeather đánh giá siêu bão Yutu là cơn bão mạnh nhất năm 2018 tính cho đến thời điểm hiện tại.

Sau "cơn ác mộng Măng Cụt", người dân châu Á có khả năng phải chống chọi với một siêu bão khác. Ngày 25/10, siêu bão Yutu đổ bộ lên hai hòn đảo Saipan và Tinian thuộc lãnh thổ của nước Mỹ ở phía Tây Thái Bình Dương gây mưa lớn, lụt lội nghiêm trọng. 

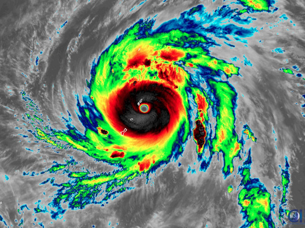
"Mắt bão" khủng khiếp của Yutu. (Nguồn: CNN).
"Mắt bão" khủng khiếp của Yutu. (Nguồn: CNN).

Các nhà khí tượng học nhận định siêu bão Yutu là một trong những cơn bão nhiệt đới mạnh nhất từng được quan sát, ngang ngửa siêu bão Haiyan xảy ra vào năm 2013. Nguy hiểm hơn, sau khi càn quét Quần đảo Bắc Mariana, siêu bão Yutu tiếp tục di chuyển về phía Đông Nam Á vào cuối tuần này.

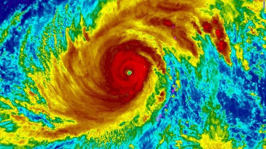
Dự báo đường đi của bão Yutu. (Nguồn: News.com.au)
Dự báo đường đi của bão Yutu. (Nguồn: News.com.au)

Mặc dù Yutu tiến nhanh đánh nhanh dẫn đến khả năng sớm "hết nhiên liệu", bão vẫn rất nguy hiểm khi đổ bộ vào PhilippinesĐài Loan (Trung Quốc) trong 24 giờ tới. May mắn là theo Tổng cục Khí tượng thủy văn, bão có ít khả năng tấn công vào Việt Nam. Khi tiến được vào biển đông, khả năng cao bão sẽ suy yêu dần và tan biến.

Mặc dù vậy, những teen có bạn bè, người thân ở nước ngoài vẫn vô cùng lo lắng. Theo CNN, siêu bão Yutu gây mất điện diện rộng và cắt đứt nguồn nước của hàng nghìn cư dân Quần đảo Bắc Mariana. Hiện chưa có thông tin chi tiết về thương vong.