Google News

Tìm thấy thế giới bị mất tích dưới đáy Thái Bình Dương

Tìm thấy thế giới bị mất tích dưới đáy Thái Bình Dương
HHTO - Các nhà nghiên cứu thuộc Hiệp hội nghiên cứu khoa học và ứng dụng quốc gia (CSIRO) và Đại học Quốc gia Úc trong một cuộc khảo sát Biển Tasman đã khám phá ra một dãy núi mà con người chưa bao giờ nhìn thấy.

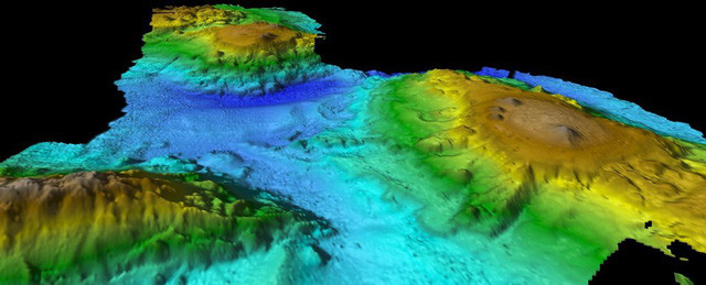
Theo báo cáo của ScienceAlert, đã tìm ra một "thế giới bị mất tích". Dãy núi trước đó chưa ai biết đến nằm dưới đáy Biển Tasman. Nó được phát hiện nhờ sự trợ giúp của thiết bị trên tàu nghiên cứu Investigator. Dãy núi này được hình thành từ những ngọn núi lửa cổ đại đã ngừng hoạt động.

Chiều cao của một số ngọn núi đạt tới 3000 mét. Mặc dù vậy, trước đó chưa ai phát hiện ra những cấu trúc này. Vấn đề là ở chỗ, đỉnh dãy núi và bề mặt đại dương bị ngăn cách bởi một lớp nước hai cây số.

Phong cảnh núi lửa rất đa dạng về cả kích thước và hình dạng. Có những đỉnh núi nhọn, cũng có những ngọn đồi thấp hình nón và cao nguyên rộng.

Các nhà khoa học cho rằng, trước đây dãy núi này từng là một phần của lục địa. Tuy nhiên sau khi châu Úc và châu Nam Cực tách khỏi nhau, dãy núi bị chìm xuống biển. Quá trình này kết thúc khoảng 30 triệu năm trước.

Hiện tại các nhà khoa học đang tiếp tục công việc nghiên cứu dải núi. Nhiệm vụ tiếp theo là tìm ra sinh vật nào đang sinh sống ở "thế giới bị mất tích" này.